夜间模式
  • 35963阅读
  • 14回复

[百姓话题]速看!昆山多幅地块有新进展 [复制链接]

上一主题 下一主题
发帖
861
昆币
15806 枚
只看楼主 使用道具 电梯直达
楼主  发表于: 2025-03-17 , 来自:江苏省0==

施工许可证获批!规划有变!

近日,昆山多幅地块曝出新动作,涉及周市、高新区、花桥、张浦四大板块。




01

周市低密纯墅——荣樾和风

获批施工许可证



c5902ab591dd6d7e0659015c5566694.jpg


近日,周市镇华杨路东侧、和惠路北侧住宅项目(1-23号住宅楼、地库、P1配套用房及P2配电房、P3开闭所)获批施工许可,合同总造价16280万元,建设单位为苏州耀荣置业有限公司。

image.png


地块即昆地网[2024]挂字7号地块,2024年8月,苏州耀荣置业有限公司拿地,成交总价24085万元,成交楼面价8423元/㎡。


根据此前项目设计方案批前公示,地块用地面积21995㎡,容积率1.3,项目规划23栋低密产品,共计95套房源,配建停车位297个


周市镇华杨路东侧、和惠路北侧.jpg

image.png






02


拟建11栋3F+2栋17F住宅

城西中环内添新盘


近日,昆山高新区环庆路西侧、夏浜路北侧住宅用房新建项目1#-3#住宅,4#邮政快递用房及门卫,5#-13#住宅,15#住宅,16#配电房及开关站,地下汽车库获批施工许可,合同总造价27000万元,建设单位为昆山中高置业有限公司。


image.png


地块即昆地网[2024]挂字4号地块,2024年7月,江苏中原建设&昆高新拿地,成交总价44082万元,成交楼面价15000元/㎡。


根据此前项目设计方案批前公示,地块用地面积19591.91㎡,容积率1.5,项目规划13栋住宅,南侧为11栋3F低密住宅,北侧为2栋17F住宅,共计168套房源,配建停车位361辆。


环庆路西侧、夏浜路北侧住宅用房新建项目.jpg

image.png






03

一期拟建5栋超高层

花桥台湾商品交易中心地块

新进展来了



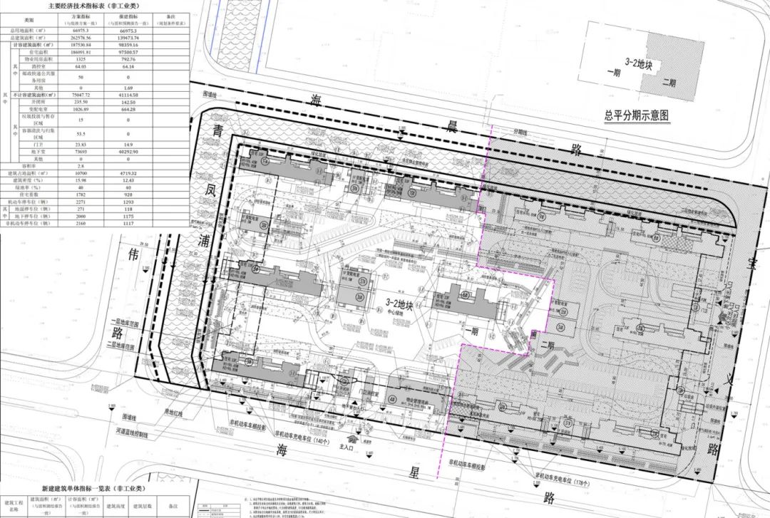
近日,台湾商品交易中心地块一期A区+B区建设工程规划许可批后公布。


·-0.jpg

image.png


地块总用地面积66975.3㎡,容积率2.8,绿地率40%,规划住宅套数1782,本次报建指标920套;规划机动车停车位2271辆,本次报建指标1293辆。


image.png


根据此前项目设计方案批前公示,项目共规划10栋19-33F住宅楼,其中一期为3、5、6、10、11#楼,均为33F


3-2.png





04

中柏新地块规划有变

拟建8栋26F住宅+2栋商业


近日,中国昆山网发布张浦镇江丰路南侧、亲和路东侧地块新建商住用房项目方案变更公示。


2e6cf1f4baf643b6bd7778592037f360.jpg


变更要点:

1.配套用房位置调整;机动车、非机动车车位位置调整;住宅建筑轮廓调整

2.户型局部优化调整

3.3-8#住宅楼首层改为架空层;4、6#住宅楼由24F改为26F;户数由813户改为808户


1.jpg


根据变更方案,地块总用地面积41136.91㎡,总建筑面积129941.73㎡,容积率2.2,规划8栋26F高层住宅+2栋商业,共计808户,机动车停车位1092辆

图片

地块位于张浦镇江丰路南侧、亲和路东侧,即昆地网[2022]挂字17号商住地块,2022年10月,上海中柏房地产(集团)有限公司拿地,拿地价6136元/㎡。


图片

来源:腾房昆太


本帖评分记录
海诺0601 昆币 +1 -来自昆山论坛APP 2025-03-20
离沫倾城6 昆币 +1 -来自昆山论坛APP 2025-03-20
苏亚雷斯 昆币 +1 -来自昆山论坛APP 2025-03-19
李钧炜 昆币 +1 -来自昆山论坛APP 2025-03-18
wujun101 昆币 +1 -来自昆山论坛APP 2025-03-18
lindagong 昆币 +1 -来自昆山论坛APP 2025-03-18
风之子2046 昆币 +1 -来自昆山论坛APP 2025-03-18
金箭小鲍 昆币 +1 -来自昆山论坛APP 2025-03-18
37℃的嘴 昆币 +1 -来自昆山论坛APP 2025-03-18
不要熬夜 昆币 +1 -来自昆山论坛APP 2025-03-18
12
17条评分昆币+17
爆料有奖!关注昆山论坛抖音号,抖音搜索“昆山论坛”,或搜索抖音号:ksbbs
 
帅哥离线亮剑中原
发帖
9088
昆币
11615 枚
沙发  发表于: 2025-03-18 , 来自:江苏省0==
现在买地是不是便宜
楼中楼
  • 2025-03-18 13:10 现实太虚伪: 是便宜关键有那么多人买吗?
爆料有奖!关注昆山论坛抖音号,抖音搜索“昆山论坛”,或搜索抖音号:ksbbs
 
发帖
2378
昆币
3090 枚
板凳  发表于: 2025-03-18 , 来自:江苏省0==
又来这么多的改善房
爆料有奖!关注昆山论坛抖音号,抖音搜索“昆山论坛”,或搜索抖音号:ksbbs
 
级别: 禁止发言
发帖
517
昆币
1000 枚
地板  发表于: 2025-03-18 , 来自:未知0==
用户被禁言,该主题自动屏蔽!
楼中楼
  • 2025-03-18 15:56 张九神: 2025年执行,2025年之前审批过的不受限制,海星路那个批复多年了相当于烂尾复工,张浦那个只能26楼
爆料有奖!关注昆山论坛抖音号,抖音搜索“昆山论坛”,或搜索抖音号:ksbbs
 
离线竹子2022
发帖
2756
昆币
3925 枚
4楼 发表于: 2025-03-18 , 来自:江苏省0==
夏浜路都变城西了?
楼中楼
  • 2025-03-18 09:15 elarry67: 太好了,我海峰路是实实在在市中心了
  • 2025-03-18 14:36 稿七念三: 这帮逼样的为了卖房
爆料有奖!关注昆山论坛抖音号,抖音搜索“昆山论坛”,或搜索抖音号:ksbbs
 
帅哥离线188mu
级别: 初来乍到
发帖
9
昆币
11 枚
5楼 发表于: 2025-03-18 , 来自:江苏省0==
康复医院东北边的一块地也已经清理掉了,是不是也要建造房子
楼中楼
  • 2025-03-18 09:55 风轻云涌: 是的,商住
爆料有奖!关注昆山论坛抖音号,抖音搜索“昆山论坛”,或搜索抖音号:ksbbs
 
在线msthaodsm
级别: 昆山新人
发帖
408
昆币
698 枚
6楼 发表于: 2025-03-18 , 来自:未知0==
33层就是普通百米楼哪是什么超高层
楼中楼
  • 2025-03-18 22:31 sinicon: 这么说26楼是小高层,17楼是洋房楼?
  • 2025-03-19 00:20 一颗花生米: 33层的,也就是中间那几年特定产物。从18年以后,就没33层的了。
爆料有奖!关注昆山论坛抖音号,抖音搜索“昆山论坛”,或搜索抖音号:ksbbs
 
发帖
1971
昆币
2964 枚
7楼 发表于: 2025-03-18 , 来自:江苏省0==
多层楼(叠墅)间距太近 有点不适应了!

都没有公共设置
爆料有奖!关注昆山论坛抖音号,抖音搜索“昆山论坛”,或搜索抖音号:ksbbs
 
帅哥离线疯狂蚂蚁
发帖
1202
昆币
2623 枚
8楼 发表于: 2025-03-18 , 来自:未知0==
不错不错,大开发
爆料有奖!关注昆山论坛抖音号,抖音搜索“昆山论坛”,或搜索抖音号:ksbbs
 
帅哥在线lamarodom
级别: 昆山名人

发帖
181283
昆币
437502 枚
9楼 发表于: 2025-03-18 , 来自:江苏省0==
回 清晨的黄昏 的帖子
清晨的黄昏:县级城市不是住宅不能超过18层吗? (2025-03-18 08:25)

没有的事,只有住宅不得超过80米这个规定
爆料有奖!关注昆山论坛抖音号,抖音搜索“昆山论坛”,或搜索抖音号:ksbbs
 
快速回复
限76 字节
如果您提交过一次失败了,可以用”恢复数据”来恢复帖子内容
 
上一个 下一个